Le Vigneron du Mois : Le Mas de Figuier en terroir Pic Saint Loup
17 mar 2013
Catégorie : Bonnes adresses, Le vigneron du mois
Pour la ballade vigneronne de ce mois de mars, retour dans le département de l’Hérault et plus particulièrement dans le village de Vacquières situé à une trentaine de kilomètres au nord de Montpellier.
C’est dans ce secteur du Pic Saint Loup, que se trouve le Mas de Figuier de Sylvie et Gilles Pages, depuis quatre générations ils cultivent dans un esprit artisanal, la vigne; elles sont toutes d’ailleurs travaillées en culture biologique, les vins sont issus d’un travail soigné en harmonie avec le terroir.
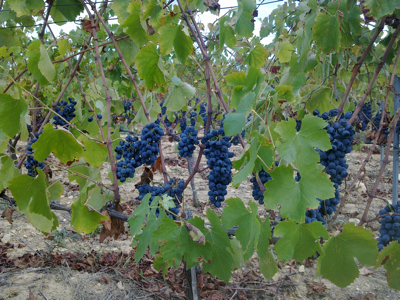
Le vignoble de 23 ha se situe sur différents sols (terroir argilo-calcaire sous forme d’argile jaune et rouge et petits cailloutis roulés et anguleux, terrasses anciennes de l’Hérault et cailloutis calcaires) et différentes orientations, à une altitude de 100 à 150 m, qui donne de bon écarts thermiques en été et de la fraicheur.
Plusieurs cépages sont plantés : Grenache, Syrah, Cinsault et Mourvèdre mais aussi de la Roussanne et du Grenache Blanc, cet encépagement permet au Mas de Figuier de vinifier les trois couleurs de vins et de donner naissance à une gamme intéressante : un blanc, un rosé et trois rouges.
La vendange se fait manuellement en caissettes, le rendement est de 30hl/h, les vins sont élevés en cuves et barriques selon les cuvées sur une durée de 14 mois.
Nous avons décider de vous faire découvrir leur vin blanc, cette une AOP ( Appellation d’Origine Protégée ) Languedoc, la cuvée « Seigneur de Leuze » : d’ailleurs propriétaire du Mas en 1696 ! Millésime 2012.Cette cuvée est issue de deux cépages : 50% de Grenache Blanc et 50% de Roussanne, ramassés la nuit pour avoir un maximum de fraicheur, sur un sol argilo-calcaire de coteaux exposés Nord-Ouest.
La robe est brillante, limpide, couleur jaune pâle, le nez expressif développe des arômes d’agrumes, la bouche est équilibré, fraiche d’une belle minéralité qui nous invite au deuxième verre.
N’hésitez plus à venir la découvrir au Jardin des Sens, au menu du déjeuner (49 €), servi les mardi, jeudi et vendredi, et découvrir les accords mets & vins crées par le sommelier Yannis Kherachi.
Le Mas de Figuier est aussi un gîte ou vous pouvez retrouvez toutes les autres cuvées au caveau de dégustation, accompagnés de Sylvie et Gilles Pagès pour vous faire découvrir leur passion autour du vin; ou les âmes des deux grands pères, Joseph et Jean, vignerons bien entendu, écouterons vos commentaires !
Bonne dégustation.










bertrand
20. mar, 2013
Des vignerons sympathiques, et des vins fabuleux, que du bonheur.
Martinez
23. mar, 2013
Une reconnaissance méritée pour un couple & un vin simplement exceptionnels ……..Vive le Mas de Figuier !!!
gerard armand
07. avr, 2013
Les vins du Mas de Figuier sont au niveau des grands crus bordelais que j’ai tous bus. Quelle réussite!
LESNE Pascale
07. avr, 2013
Le Mas de Figuier est un domaine avec lequel je prends plaisir à travailler. Les vins aromatiques et fins de Gilles s’accordent à merveille avec les mets de notre carte de restaurateurs et les relations chaleureuses que ce couple sait entretenir sont un plus considérable dans le partenariat qui est le nôtre. Merci à Gilles et Sylvie pour leur savoir-faire et leur savoir être.
Yves Guévar
09. avr, 2013
Les vins de Gilles et Sylvie sont appréciés également en Belgique. On peut trouver des millésimes du Mas de Figuier à la carte de restaurants belges, à Spa par exemple où se fut une découverte formidable.
Je vous invite à faire un arrêt à Vacquières pour apprécier le charme de l’endroit, la gentillesse de ses hôtes, (re)découvrir les produits et surtout « faire le plein » !!
Allegri Franck
11. nov, 2013
bonjour, nous organisons ce soir une dégustation de vins du Languedoc au cours de laquelle nous aurons le Seigneur de Leuze 2012. Pourriez vous nous faire parvenir le fiche technique et éventuellement la fiche de dégustation si elle existe ? Vin acheté à Cagnes/Mer au mois de Mai avec St. Joseph Pic St Loup
Club Oenologique les Grains Nobles 06190 RCM Merci
merou
16. déc, 2013
Une simplicité et une chaleur humaine qui transpirent dans ces vins magnifiques.
Et que dire de l’accueil vigneron si ce n’est : « merci »